좋은 운 불러들이는 맑은 피부 위한 관리가 ‘신부관리의 핵심’
-
<인앤양에스테틱 김지희 원장의 뷰티 칼럼>올가을 영화 <관상>은 관객 수 900만 명을 돌파하면서
선풍적인 인기를 끌며 많은 분야에서 화두가 됐다.
필자는 최근 화제가 되고 있는 관상 중에서도
[좋은 신부감의 관상]은 무엇인지에 대해 이야기하고 싶다.전통적인 [좋은 신부의 관상]은
동굴 납작한 얼굴, 작은 코, 반달형의 눈매,
초승달같이 가늘고 긴 눈썹, 앵두같이 작은 입술이다.
그럼 과연 현대에도 위와 같은 관상의 신부를 선호하는가?
결론은 그렇지 않다.
신부관리, 웨딩케어가 전문인 필자의 피부관리실을 찾는
신부들이 원하는 관상(인상)은 위에 열거한 것과 많이 다르다.
우선 얼굴형은 둥근형보다는
턱이 뾰족한 V라인형, 콧대는 높고 샤프한 모습을,
눈은 가늘고 긴 형 보다는
커다랗고 동그란, 그러면서 눈 꼬리가 살짝 올라간 스타일을 선호한다.
그러나 그때나 지금이나 변하지 않는 [좋은 신부의 관상]은 있다.
우선 배우자의 복을 부르는 적당한 크기의 반듯하고 도톰한 이마다.
반대로 기피하는 신부 관상으로는 돌출된 광대뼈와 팔자주름이다.
돌출된 광대뼈는 적극적이고 자립심이 강해 보이며,
자수성가할 관상이기는 하나
너무 강하고 사나운 인상을 만들기 때문에
신부로서 좋은 관상은 아니다.
팔자주름은 관상학적으로 [법령]이라 하여
재물과 명예에 해당되는 요소이기에
50대 이후에는 적당한 깊이로 넓고 길게 내려오는 것이 좋다.
그러나 40대 이전에 팔자주름이 있으면
일복은 많으나 일을 많이 해도
주변이 그것을 알아주지 않기에
외롭고 쓸쓸할 상으로 관상학적으로는 해석한다.
특히 젊은 여자의 경우 팔자주름이 있으면
나이가 들어 보이고, 얼굴이 지쳐 보이기에
미용학적으로도 좋지 않다.
시대상이 변한다 하더라도
신부로서는 광대뼈나 팔자주름이 좋은 관상이 아니므로
이를 제거하기 위해 많은 노력을 하고 있다. -
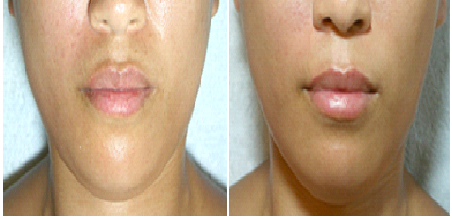
필자의 피부관리실에서는 특수 근막관리를 이용해
광대뼈를 유연하게 만들어 팔자주름을 제거하고 있다.
이와 더불어 배우자의 복이 생기도록
이마를 도톰하게 만들어 주어
결과적으로 작고 전체적으로 통통한
동안의 얼굴형으로 만들어 주고 있다.
이때 이용하는 특수 근막관리는
인체가 유기체로 연결되어 있기에
바디 전신관리를 받으면 좋지만,
많은 신부들이 금전적, 시간적 제약으로
핵심 근육만을 관리해 효과를 높이고 있다.
여기서 말하는 핵심근육이란
안면근육을 잡고 있는 목과 어깨, 두피 근육 등을 말한다.
목의 근육은 얼굴형태 변화와 피부의 브라이트닝 효과에
동시에 영향을 끼치므로 매우 섬세하게 케어를 하며,
이중에서도 특히 흉쇄 유돌근의 관리에 신경을 쓴다.
또한 어깨 상부 승모근의 이완을 돕기 위해
연결선상에 있는 등의 근육과
가슴쪽 쇄골 하근, 소흉근, 대흉근 관리를 함께 실시한다.
두피 근육 중에서는 특히 측두근의 관리를 섬세하게 실시해야
얼굴이 전체적으로 리프팅되며, 얼굴형이 계란형으로 예쁘게 된다.
특히 관리를 실시하는 동안은 고객이 호흡을 함께 하도록 해
심장의 호흡과 연결된 근육의 이완을 도모시켜
보다 효과적인 관리가 이루어지도록 하고 있다.
이와 더불어 관상학적으로 좋은 운을 불러들이는
맑은 피부를 위한 관리는 [신부관리의 핵심]이다.
이목구비가 아무리 뚜렷해도
피부가 안 좋으면 보기에도 안 좋고,
좋은 운도 따르지 않는다.단적으로 성공한 사람들 중 피부가 안 좋은 사람은 거의 없다.피부결을 매끄럽고 촉촉하게, 윤택하게 만들어 주어야
신부관리의 완성이라 볼 수 있다. -
영등포구 당산동 피부관리실 [인앤양에스테틱] 김지희 원장김지희 원장은 인체의 음(yin)과 양(yang)의 기운을 조화롭게 다스려
근본적인 건강한 아름다움을 추구하는데 초점을 맞춰 숍을 운영하고 있다.신부관리, 임산부 마사지, 산전관리, 산후관리를 전문으로 하고 있으며,
재능대학교 미용예술과 겸임교수, 홀리스틱 미용과학학회 임원으로 활동하고 있다.
또 경기도지사배 미용예술경연대회에서 심사위원을 맡기도 했다.[사진 = 글로벌에스테틱리더협의회]





